조황관리HOME / 조황관리 / 상세정보

제목 : 5자 우럭 외 빅사이즈 열기.쏨뱅이 가족 낚시여행
등록일 : 2025-02-17



한국 낚시 방송 경주 통신원 씨스타호 이선장입니다.
17/일 봄 날씨같이 따뜻하고 바다는 잔잔하니 낚시하기 좋은 주말 아침!!
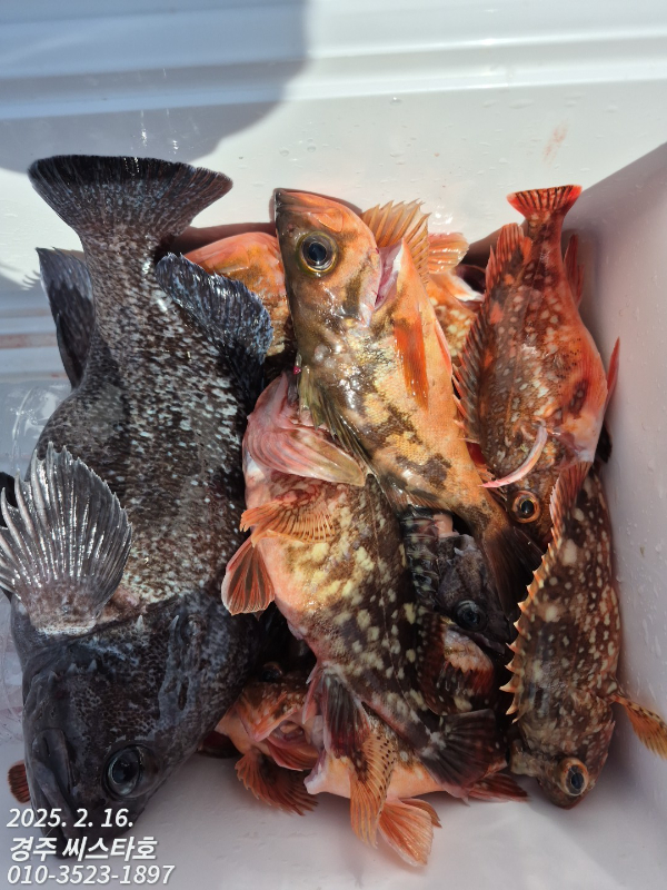
예약 펑크로 한 가족 모시고 어초 열기 다녀왔습니다.

한 가족 봄나들이 나오셨어요~~~
처음 접하는 장르의 낚시지만 잠깐의 낚시 설명 후 손에 익지 않아 서투른 낚시지만 나름
열낚 하여 사이즈 좋은 우럭 외 횟감 푸짐하게 손맛 보고 즐거운 낚시 시간이었습니다.

입항 후 직접 잡은 싱싱한 횟감은 선착장 앞 회 포장 손질해 주는 곳으로 고고싱~~

겨울 바다의 꽃 열기 낚시에 도전하여 환상의 손맛 보세요
18/화 바람이 많은 관계로 휴항 이며 19/수 정상 출항합니다.


★경주 선상낚시 씨스타호★

Captain 선장 이상언 010-3523-1897
예약금 입금계좌: 수협 이상언 630-62-057034
☞입금 확인되어야 예약 확정됩니다. 기상악화 출항 불가 판단 시 전액 환불
☞배 타는 곳: 경주시 감포읍 감포로 11길 20-45(활어위판장 앞 선착장)

☞예약사이트(터치하면 이동합니다)
http://seastar.sunsang24.com/
★​​씨스타호 매일 출항 시간★

왕 열기/우럭/ 쏨뱅이 (선비 7만 원, 낚싯대 대여 1만 원) 채비 별도
오전 07:00 출항~12:00 입항

입. 출항/낚시 시간은 조율 가능하며 현지 바다 상황에 따라 변경될 수 있습니다
​출항 30분 전 배 타는 곳 도착하셔서 출항 명부 작성하셔야 됩니다

★★예약 시 필독하세요★★​​​

개인 채비 추 80호, 바늘 9-3-1.5/10-4-2/13-5-3호 6~10 본 낚싯대 210~270cm
♥오징어 미끼 드림 니다 (개인 미끼 청 갯지렁이 추천)
(오징어 미끼. 추. 바늘 선내 구입 기능)
♥전동 릴 공급장치/ 얼음. 음료. 컵라면. 캔커피
♥직접 잡은 고기 선착장 앞 회 센터에서 손질 회 포장 가능합니다

♥ 9.77톤 22인승 23년식 신조선 넓고 안정성 넘치는 쾌적한 낚시 공간과 편의시설
​​​♥ 최첨단 장비 탑재 (2k 쳐 프 어탐) 어군 판독
♥ 최신형 수압 감지 자동 팽창형 구명 북 120 % 구비

♥주차는 정박된 배 앞 우측 무료 주차장에 주차해 주세요!!!
무분별 주차로 어민들로부터 민원이 접수되고 있습니다.
​​♥멀미약 복용 방법은 출항 1시간 전에 / 키미테는 출항 4시간 전 부착하셔야 효과가 있습니다.

♥개인 아이스박스 30리터 이하 지참
​♥숙박이 필요한 고객님들께는 감포 통나무 펜션 010-5744-7816 바로 전화하세요


TimePhoto_20250216_093818.jpg


TimePhoto_20250216_100519.jpg


TimePhoto_20250216_101128.jpg


TimePhoto_20250216_105037.jpg


TimePhoto_20250216_105134.jpg


TimePhoto_20250216_110024.jpg


TimePhoto_20250216_112426.jpg
 



*** 경주 씨스타호 예약 안내 ***


예약문의 : 010-3523-1897
오시는길 : 경북 경주시 감포읍 감포로11길 20-45
홈페이지 : http://seastar.sunsang24.com/


 
TimePhoto_20241002_105447.jpg


TimePhoto_20241002_064540.jpg
 


Top